
Oluja je toliko moćna da će preoblikovati Jamajku za godine koje dolaze i mogla bi izazvati humanitarnu katastrofu. Jamajku nikada ranije nije pogodio uragan kategorije 5, a jedna agencija Ujedinjenih nacija opisala ga je kao „oluju stoljeća“.
Melissa je već odnijela sedam života...
Najnovije informacije pratite uživo na portalu Vijesti.ba:
18.28 - Melissa će nakon Jamajke pogoditi Kubu i Bahame, ali će dotad oslabjeti
Dužnosnici na drugim karipskim otocima večeras su u stanju najviše pripravnosti dok uragan Melissa pogađa Jamajku i kreće prema sjeveru.
Prema prognozama, Melissa će se kretati prema Kubi kao uragan četvrte kategorije, dok su kubanske vlasti već evakuisale više od 600 hiljada ljudi iz područja koja su najugroženija jakim vjetrovima i poplavama.
Oluja bi zatim trebala nastaviti prema Bahamima oko 1 ujutro po našem vremenu, a tada bi trebala oslabjeti na uragan druge kategorije.
Bahamanske vlasti također su izdale naredbe za obaveznu evakuaciju stanovnika u nekoliko rizičnih područja.
18.10 - Uragan Melissa pogodio Jamajku
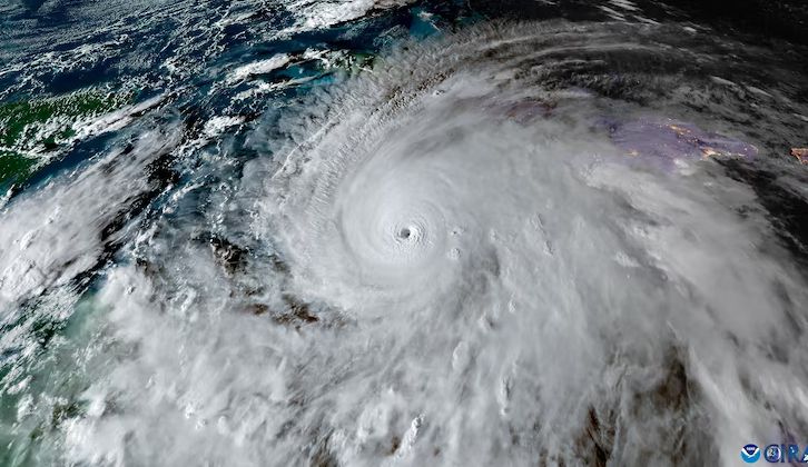
Uragan Melissa upravo je stigao na jugozapadnu obalu Jamajke, pogodivši otok vjetrovima jačine do 300 km/h – što ga čini najjačom olujom ikada zabilježenom koja je pogodila tu zemlju.
Tokom sljedećih nekoliko sati uragan će poharati Jamajku, a zatim se kretati prema istočnoj obali Kube, pri čemu bi trebao postupno slabjeti.
Američki Nacionalni centar za uragane upozorava da bi na pojedinim dijelovima otoka moglo pasti i do 1000 milimetara kiše, uz "po život opasne" valove i porast nivoa mora.
Crveni križ procjenjuje da bi direktno pogođeno moglo biti do 1.5 miliona ljudi.
17.44 - Udari vjetra dostižu 300 km/h, sam uragan se kreće brzinom 15 km/h
Oko uragana Melisse počelo je dodirivati obalu Jamajke, no oluja još nije u potpunosti stigla na kopno.
Prema podacima američkog Nacionalnog centra za uragane, Melissa trenutno ima vjetrove brzine do 300 km/h i i dalje je uragan kategorije 5.
Udar na kopno službeno će se proglasiti kada barem polovina oka oluje pređe iznad kopna, što se očekuje u sljedećih sat ili dva.
Centar uragana nalazi se oko 50 kilometara jugoistočno od Negrila, a Melissa se kreće prema sjeveroistoku brzinom od 15 km/h.
17.20 - Stižu prve snimke dolaska Melisse na Jamajku
Impactantes imágenes desde Kingston, Jamaica muestran los estragos del huracán Melisa , que avanza por el Caribe con fuerza devastadora.
— Mónica Saade (@MonicaSaadeX) October 28, 2025
Solidaridad con las familias afectadas.#Huracan #Melissa
pic.twitter.com/JTjQQVIBdQ
Na društvenim mrežama pojavljuju se prve snimke dolaska uragana Melisse do jamajčanskog kopna.
Catastrophic flooding and storm surge from #HurricaneMelissa in Alligator Pond, Manchester, Jamaica. pic.twitter.com/GD6aOY4YGB
— Joint Cyclone Center (@JointCyclone) October 28, 2025
17.10 - "Voda nam kroz krov ulazi u kuću, nismo dobro, uplašeni smo"
Kabien, vlasnica salona ljepote u Santa Cruzu na Jamajci, javila se telefonom za BBC i rekla da ne može otići u sklonište iako su vlasti pozvale stanovnike da se tamo upute, jer je sklonište predaleko, a sada je, kaže, "preopasno napustiti kuću".
Dok je govorila, u pozadini se jasno čulo zavijanje vjetra, kao i panika u njenom glasu, piše BBC.
"Voda prodire kroz krov moje kuće", rekla je Kabien. "Nisam dobro."
Kod kuće je sa suprugom i troje male djece, koji su, kako kaže, "jako, jako uplašeni".
"Vjetar razvaljuje vrata – pokušavam ih rukama zadržati, ali ih oluja gura unutra."
16.40 - Ovo nije vrijeme za hrabrost
Desmond McKenzie, jamajčanski ministar lokalne uprave, pozvao je stanovništvo da iskoristi posljednje trenutke prije nego što Melissa pogodi otok kako bi pronašli sklonište.
"Još uvijek postoji mali prozor prilike", rekao je. "Iskoristimo ga i iskoristimo ga mudro. Želim vidjeti više ljudi u skloništima."
McKenzie je procijenio da se već oko 6.000 ljudi nalazi u skloništima na otoku.
Dodao je: "Jamajko, ovo nije vrijeme za hrabrost. Ne kladite se protiv Melisse - to je oklada koju ne možemo dobiti."
McKenzie je rekao da je Jamajka spremna brzo reagovati na operacije potrage i spašavanja kad Melissa stigne.
"Imamo čamce, helikoptere - šta god treba", rekao je.
Dodao je da je vlada opremila vojsku s nekoliko helikoptera.
"Jamajčanska vatrogasna služba također ima niz čamaca koji se mogu koristiti i na kopnu i na moru za akcije spašavanja i potrage."
McKenzie je zaključio kako je ovo posljednje službeno obraćanje vlasti prije nego što Melissa pogodi otok, piše Sky News.
16.23 - Posljednja prilika da spasite život
Nacionalni centar za uragane (NHC) izdao je dramatično upozorenje stanovnicima Jamajke dok se otok priprema za katastrofalne udare vjetra uragana Melisse, koji sada pušu brzinom do 295 kilometara na sat.
"Posljednja prilika da spasite svoj život. Ovo je izuzetno opasna i po život prijeteća situacija! Sklonite se odmah!" – stoji u saopćenju NHC-a objavljenom u 10 sati po američkom vremenu.
Centar je upozorio da nepridržavanje uputa može dovesti do teških povreda ili smrti. Građanima se savjetuje da potraže zaklon u prostorijama bez prozora, što dalje od stabala i vanjskih zidova.
"Najbolje je imati što više zidova između sebe i vanjskog prostora. Pokrijte se madracem i stavite kacigu ako je imate, kako biste dodatno zaštitili glavu," navodi NHC.
Melissa se u međuvremenu još više pojačala, a njezini su vjetrovi sada među najjačima ikad zabilježenima u historiji Atlantika.
16:03 - Vlasti upozoravaju: Stvari će postati "znatno gore"
Nastavljajući da upozorava stanovnike na razorne moguće posljedice, Thompson kaže da najgore tek dolazi.
"Možda mislite da ovaj sistem ne izgleda kao da ima veliku snagu", kaže on.
"Istina je da je još uvijek prilično udaljen od obale."
Dodaje da će, kako se oluja bude približavala, situacija postati "znatno gora" nego što je ljudi trenutno doživljavaju.
Odgovarajući na pitanja, jamajčanski ministar energetike i saobraćaja Daryl Vaz upitan je da li je rok za pripreme za Melissu sada istekao.
Kaže da je oluja "vrlo blizu", ali da ljudi možda još uvijek mogu ojačati svoje domove, posebno vrata.
Također poziva građane da budu na oprezu i pokažu "krajnji oprez".
Oko oluje trebalo bi da pogodi kopno oko podneva, kaže on, ponavljajući da ljudi ne bi trebali izlaziti napolje nakon 11:00 po lokalnom vremenu (17:00 u BiH).
15:41 - "Potražite zaklon odmah": Nacionalni centar za uragane upozorava na "situaciju opasnu po život"
Izvještaj Nacionalnog centra za uragane (NHC) Sjedinjenih Američkih Država navodi da se uragan Melissa trenutno nalazi oko 70 kilometara (45 milja) od Jamajke, javlja BBC.
"Ovo je izuzetno opasna situacija koja ugrožava živote", saopćio je NHC, upozoravajući stanovnike ostrva da "odmah potraže zaklon".
Centar upozorava da bi nepravilno sklonište moglo dovesti do teških povreda ili gubitka života.
"Kako biste se zaštitili od vjetra, najbolje je da imate što više zidova između sebe i spoljašnjosti", navodi se u saopćenju.
Dodaje se da je unutrašnja prostorija – po mogućnosti bez prozora i daleko od drveća koje može pasti – najbezbjednije mjesto u zgradi.
Također se savjetuje pokrivanje madracem ili nošenje kacige radi dodatne zaštite.
15:24 - Nestalo je struje, ali generatori još uvijek bruje, za sada
Kritična energetska infrastruktura u Kingstonu je u kvaru, a reporter BBC-ja je izvijestio kako je zujanje generatora sve što čuje.
"Imamo internet – ali i on radi na generatorima, tako da je samo pitanje vremena kada će i to nestati. Čekamo da saznamo kada će oluja zvanično pogoditi Kingston, ali to nećemo moći odmah saznati jer komunikacije otkazuju", navodi Nick Davis.
Ljudi, dodaje, koriste satelitske telefone kako bi prenosili informacije onima koji se bave katastrofom – ali postoji velika mogućnost da će ova oluja ostati s njima još dugo.
15:05 - Melissa ponovno ojačala
Prema podacima Nacionalnog centra za uragane (NHC), uragan Melissa sada ima stalne vjetrove brzine 290 km/h, čime je još jednom ojačao i dodatno učvrstio status najmoćnije oluje na planetu ove godine.
Melissa i dalje ostaje razorni uragan pete kategorije, upozorila je meteorologinja CNN-a Mary Gilbert.
Meteorologically speaking Melissa is one of the most perfect, most beautiful examples of tropical dynamics I think I’ve ever seen.
— Met4Cast - UK Weather (@Met4CastUK) October 28, 2025
You’d struggle to find a more symmetrical eye, especially by Atlantic standards. pic.twitter.com/Zne2ySZqiH
15:02 - Kako će izgledati udar uragana na Jamajci: Pakao vjetra i vode
Više informacija sada dolazi o tome šta bi se moglo dešavati na terenu na Jamajci, a potpredsjednik američke neprofitne organizacije United Cajun Navy, Brian Trascher, izjavio je da se uslovi „brzo pogoršavaju“ dok se uragan Melissa približava ostrvu. Trascher je u razgovoru sa Johnom Bermanom u emisiji CNN This Morning rekao da putanja ovog uragana kategorije 5 – „monstruozne oluje“ – znatno otežava napore za evakuaciju, jer se oluja pomjerila ka zapadu prije nego što je zastala.
„Izgleda da će se na kraju ponovo okrenuti ka sjeveroistoku,“ rekao je, dodajući: „Bilo je veoma teško bezbjedno rasporediti ljude unaprijed... kao da igramo ‘izbjegni loptu’.“
Trascher je pozvao stanovnike da se pripreme na razaranja koja Melissa najvjerovatnije donosi, ističući: „Ne postoji mjera opreza koja bi bila prevelika ili pretjerana... Brzine vjetra biće izuzetno razorne... opasne po život.“
Upozorio je ljude da obrate pažnju na predmete koji bi mogli biti podignuti i nošeni jakim udarima vjetra, jer će se pretvoriti u opasne projektile sposobne da probiju prozore i drvene konstrukcije. Trascher je takođe upozorio na opasnost od klizišta, savjetujući stanovništvo da potraže sklonište u betonskim objektima, na zavjetrinskoj strani brda i planina ili na većoj nadmorskoj visini kako bi izbjegli bujice.
„Govorio sam o trilionima galona vode koji će biti izbačeni na planinsko ostrvo — a gravitacija će tu vodu voditi samo u jednom pravcu: nizbrdo,“ dodao je.
(Vijesti.ba)